ID CP2568465
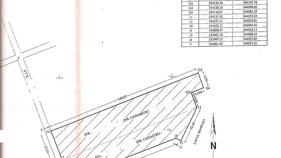
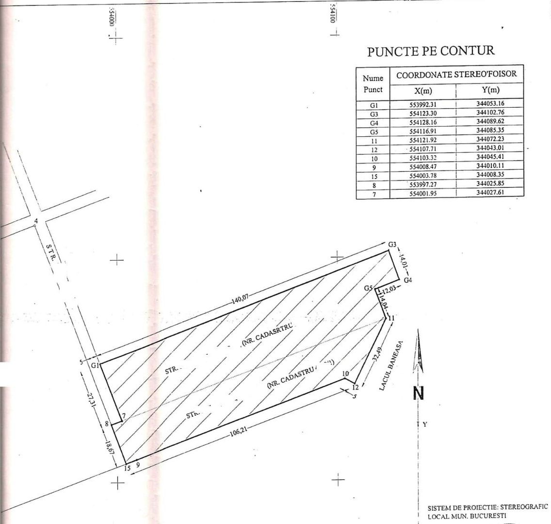
Teren 6000 mp pozitie deosebita lacul Baneasa adancime 140 m
ID CP2568465
6,000,000 €
Teren de 6,000 mp de vânzare
                    Damaroaia, Bucuresti
                    
                      6,000 mp
                    
                    
                  Va propunem spre vanzare un lot de teren pozitionat pe malul Lacului Baneasa. Lotul are o suprafata de 6000 mp, cu o adancime de 140 metri liniari si o latime de circa 60 metri.
Latul este amplasat in zona de case a lacului Mogosoaia, si se pot dezvolta atat case individuale cat si complex de case in cadrul unui proiect rezidential; lotul fiind incadrat in zona L1C.
Utilitatile se regasesc in proximitatea lotului de teren, iar coordonatele urbanistice sunt POT - 20%, CUT - 0.9 cu regim de inaltime maxim P+2+M.
A fost deja efectuata descarcarea de sit arheologic si in acest sens, a fost obtinut certificatul de descarcare.
Pentru detalii sau programarea unei vizionari va stau la dispozitie.
 
         
         
         
         
         
         
         
         
         
         
         
         
         
         
         
         
         
         
         
         
         
         
         
         
         
         
         
         
         
         
         
         
         
         
         
         
         
         
         
         
         
         
         
         
         
         
         
         
         
         
         
         
         
         
         
         
         
         
         
         
         
         
         
         
         
         
         
         
         
         
         
         
         
         
         
         
         
         
         
         
         
         
         
         
         
        